На Филиппины обрушился супертайфун "Ноул", двое погибших


После столкновения с сушей тайфун несколько ослаб, сейчас скорость ветра в нем составляет примерно 160 км/час с порывами до 195 км/час.
Двое жителей филиппинской провинции Кагаян стали первыми жертвами супертайфуна "Ноул". Об этом заявили в Национальном совете по управлению в чрезвычайных ситуациях страны, сообщает Sky News.
Также сообщается о превентивной эвакуации населения, поскольку ожидается высокий прилив, сильные ливни и штормовой ветер
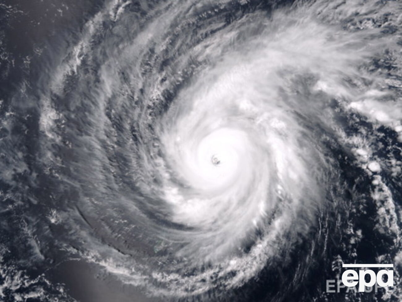
Тайфун вечером в воскресенье начал прохождение через территорию Филиппин из провинции Кагаян на севере главного острова страны Лусон. Скорость ветра в эпицентре тайфуна достигала 310 км/ч.
После столкновения с сушей тайфун несколько ослаб, сейчас скорость ветра в нем составляет примерно 160 км/час с порывами до 195 км/час.
Тайфун "Хагупит" обрушился на Филиппины в декабре прошлого года, в результате погибли 27 человек.
Как читать ”ГОРДОН” на временно оккупированных территориях
Читать
На Филиппинах продолжается эвакуация жителей в связи с надвигающимся тайфуном. Фоторепортаж
10 мая, 22.19
События
Украинский МИД рекомендует воздержаться от поездки на Филиппины в связи с тайфуном
8 декабря, 17.26
Мир
Тайфун "Хагупит": 27 погибших, более миллиона людей в убежищах
8 декабря, 15.50
Мир
По Филиппинам ударил мощный тайфун. Фоторепортаж
7 декабря, 12.38
Мир
На Филиппинах из-за тайфуна эвакуировали более миллиона жителей
7 декабря, 10.13
Мир
Чарльз III в обращении к парламенту упомянул о "храбрых украинцах". Что именно он сказал
14 мая, 00.34
Мир
"Они на этом поднялись, заработали деньги". Холоденко рассказала о браке Квитковой и Добрынина
13 мая, 23.46
Новости
13 мая, 22.14
Бульвар